티스토리 뷰

2025년 태풍 시즌 완벽 가이드
태풍 발생시기 원인 우리나라 제출 태풍 이름 2025년 완벽 정보에 대해 궁금하신 분들은 아래를 참고하세요!




올해도 어김없이 찾아온 태풍 시즌! 근데 2025년은 좀 특별해요. 태풍에 대한 관심이 그 어느 때보다 높아지고 있거든요.
기상청과 세계기상기구(WMO)의 최신 예보에 따르면, 2025년 태풍은 6월 중순부터 본격적으로 활성화될 전망입니다. 특히 해수면온도 상승으로 인해 더 늦게까지, 더 강하게 발생하는 경향을 보이고 있어요.
월별 태풍 발생 패턴과 우리나라 영향 시기
태풍은 언제 가장 많이 발생할까요? 통계를 보면 명확한 패턴이 있어요.



7월~9월이 핵심 시기입니다. 이 3개월 동안 한반도에 영향을 주는 태풍들이 집중되죠. 근데 요즘은 6월과 10월에도 간접 영향을 받는 경우가 늘고 있어요.
2025년은 특히 주목할 만해요. 5월까지 태풍이 발생하지 않았거든요~ 이건 무려 9년 만의 기록이에요! 2017년부터 2024년까지는 늦어도 5월에는 1호 태풍이 발생했는데 말이죠.
근데 이게 꼭 좋은 건만은 아니에요. 늦게 시작된 만큼 더 강하게 몰려올 가능성도 있거든요.



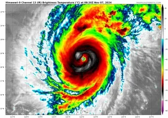
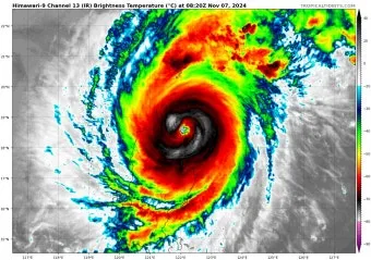
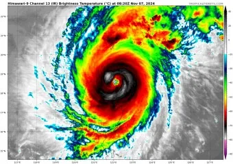
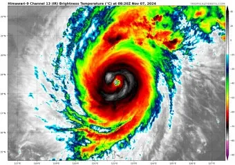
2025년 첫 태풍 '우딥' 발생 전망
첫 태풍의 이름은 이미 정해져 있어요. '우딥(Wutip)'이라고 해요. 마카오에서 제출한 이름으로 '나비'를 의미하죠.
기상청에 따르면 7~8일경 필리핀 해상에서 열대저압부가 발생할 가능성이 높다고 해요. 주변 해수면온도가 30도 이상으로 높아서 태풍으로 발달할 조건이 갖춰졌다는 거죠.
"열대저압부 발생 및 발달 여부에 따라 우리나라 기압계와 날씨 변동성이 매우 커질 수 있다"는 게 기상청의 설명이에요. 그만큼 중요한 시점이라는 뜻이죠.



태풍 발생 원인과 2025년 특이사항



태풍이 왜 생기는지 궁금하지 않으세요? 사실 태풍의 발생 원인은 꽤 복잡해요.
해수면온도 상승과 태풍 강화 메커니즘
태풍의 핵심 동력원은 바로 해수면온도예요. 태양열로 인해 적도 부근 바다가 뜨거워지면서 대류구름이 만들어지고, 이것들이 모여서 거대한 저기압 시스템으로 발달하는 거죠.
2025년 4월 기준으로 전지구 해수면온도가 평년보다 0.4°C 높았어요. 이게 얼마나 큰 차이인지 모르겠다고요? 아주 큰 차이입니다!



해수면온도가 1°C만 올라도 태풍의 강도는 엄청나게 달라져요. 연구 결과에 따르면, 북서태평양에서 발생한 태풍의 풍속이 1m/s 강해지는데 1981년에는 평균 2.1시간이 걸렸지만 2018년에는 평균 1.6시간밖에 안 걸렸다고 해요.
즉, 태풍이 더 빨리, 더 강하게 발달한다는 거죠 ㅠㅠ
기후변화가 태풍에 미치는 영향

지구온난화의 영향도 무시할 수 없어요. 극지방과 적도의 온도 차이가 줄어들면서 무역풍과 계절풍이 약해지거든요.



그럼 뭐가 달라지냐고요? 상승기류를 방해하는 요인이 사라지면서 열대저기압의 발생 빈도가 잦아지고, 이동 속도도 느려져서 한 지역에 머무는 시간이 길어져요.
결과적으로 더 강하고 오래가는 태풍이 만들어진다는 뜻이에요. 정말 무서운 얘기죠?
우리나라 제출 태풍 이름과 명명 체계



태풍 이름이 어떻게 정해지는지 아세요? 생각보다 체계적이에요!



한국과 북한이 제출한 태풍 이름 목록
현재 태풍 이름은 14개국이 10개씩 제출한 총 140개를 순환해서 사용해요. 한국과 북한도 각각 10개씩 제출했으니까 한글 이름이 총 20개나 되는 거죠!
우리나라에서 제출한 이름들을 보면 특징이 있어요. 발음하기 쉽고, 부정적인 의미가 없으며, 2~3음절로 된 동식물 이름들이 대부분이에요.
예를 들어 '나비', '개미', '나리', '장미' 같은 이름들 말이에요. 근데 가끔 좀 특이한 이름들도 있어요~



태풍 이름이 140개를 다 쓰면 다시 처음부터 시작해요. 연간 약 25개 정도 발생하니까 대략 4~5년마다 한 바퀴 도는 셈이죠.
2025년 새롭게 변경된 태풍 이름들
2025년부터는 몇 개 이름이 바뀌어요! 제56차 태풍위원회 총회에서 결정된 건데요.
우리나라에서 제출했던 '메기'가 '고사리'로, '노루'가 '호두'로 바뀌었어요. 북한에서 제출했던 '날개'도 '잠자리'로 변경됐고요.



왜 바뀌었냐고요? 2023년 태풍 '메기'와 '노루'가 필리핀에 엄청난 피해를 줬거든요. 수백 명의 사상자가 발생했을 정도로 심각했어요.
태풍 이름은 큰 피해를 준 경우 해당 국가의 요청으로 영구 제명될 수 있어요. 그럼 새로운 이름으로 교체하는 거죠.
또 하나 재밌는 건, 기상청에서 올해 하반기에 태풍 이름 공모전을 열 예정이라는 거예요. 혹시 여러분도 참여해서 태풍 이름을 제안해보실래요?



2025년 태풍 대비 전략



이제 실질적인 준비 얘기를 해볼까요? 2025년 태풍은 여러 면에서 과거와 다를 것 같거든요.
첫째, 6월 중순부터 10월까지 긴장을 놓으면 안 돼요. 과거에는 7~9월이 핵심이었지만, 이제는 시즌이 길어졌어요.
둘째, 태풍의 강도가 전반적으로 강해질 가능성이 높아요. 해수면온도 상승이 주된 원인이죠.
셋째, 이동 경로가 예측하기 어려워질 수 있어요. 기압 배치 변화로 인해 변동성이 커졌거든요.
실시간 정보 확인은 기상청 태풍센터에서 가능해요. 스마트폰 앱으로도 쉽게 확인할 수 있으니까 미리 설치해두시길!
결론: 2025년 태풍, 철저한 준비가 답

2025년 태풍 시즌은 여러모로 특별할 것 같아요. 늦은 시작, 강화된 강도, 긴 영향 기간까지... 과거와는 다른 패턴을 보이고 있거든요.
태풍 발생시기 원인 우리나라 제출 태풍 이름 2025년 완벽 정보에 대해 더 알고싶은 내용은 아래를 확인하세요!

태풍 대비 행동요령도 숙지해두시고, 가족과 함께 비상 계획도 세워두세요. 특히 어르신이나 어린이가 있는 가정은 더욱 세심한 준비가 필요해요.
2025년 태풍, 우리 모두 안전하게 보내요!
핵심 요약
• 2025년 태풍은 6월 중순부터 본격 발생
태풍 발생시기 원인 우리나라 제출 태풍 이름 2025년 완벽 정보에 대한 보다 자세한 내용은 아래 내용을 확인해보세요!

• 한국은 북한과 함께 20개 태풍 이름 제출
• '메기'→'고사리', '노루'→'호두'로 이름 변경
• 첫 태풍 '우딥'은 필리핀 해상서 발생 예정
볼만한 글

